A proposed waterfront housing development in Marina Bay is back in the spotlight after the city missed state-mandated deadlines for reviewing the plan.
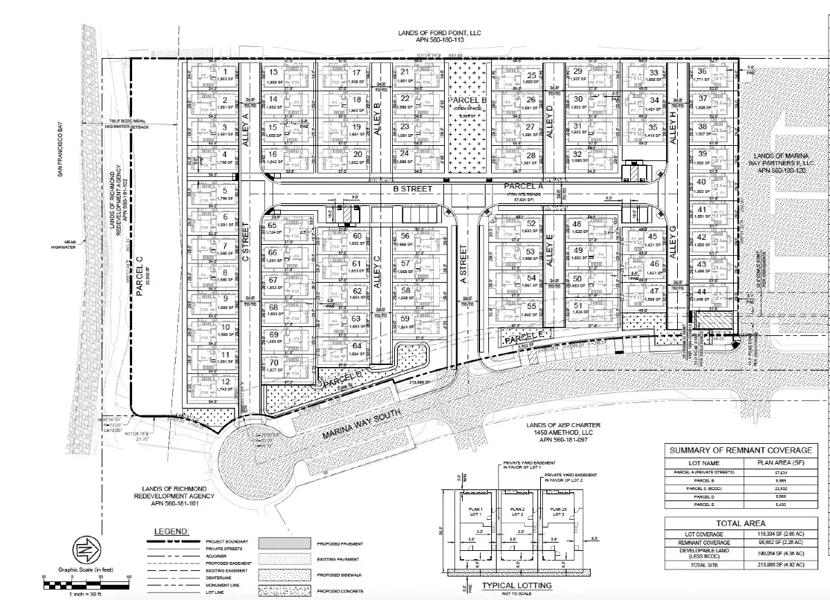
The Marina Point Residential Project calls for 70 three-story homes plus 30 accessory dwelling units on a 4.92-acre vacant parcel next to the Rosie the Riveter Visitor Center, even though it does not meet the city’s density, shoreline, or housing-element requirements.
Grandview IndependentSoren Hemmila
Richmond’s Design Review Board will review the housing project that city staff say must be processed even though the city missed deadlines, and the project does not meet the city’s density, shoreline, or housing-element requirements.
Planning Manager Avery Stark said when a city does not issue a timely determination, the application is treated as “deemed consistent” for processing purposes. This designation does not exempt the project from any required entitlements or permits.
“The project will still require the full set of approvals, including Design Review Board recommendation, Conditional Use Permit, Vesting Tentative Map, Planning Commission action, potential City Council appeal, and all applicable building, grading, shoreline, and compliance permits,” Stark said.
The staff report says the project does not meet the minimum density of 40 units per acre required in the CM-5 Mixed Use Commercial zoning district. At 4.92 acres, the site was expected to accommodate about 197 units, which is the housing capacity the city assumed for this parcel in its state-certified Housing Element.
The developer instead proposes 70 homes and 30 junior accessory units, a total of 100 units. Planners wrote that approval would result in a net loss of 100 moderate-income housing units that would no longer be built at the site.

Marina Bay Neighborhood Council President Margarita Mitas said the project does not appear to comply with the rules for allowable structures in the shoreline district and listed additional unresolved issues involving parking, emergency access, unshared traffic-study results, sea level rise, soil conditions, and the absence of an environmental impact analysis.
Mitas said community members consistently raised concerns about the project’s proximity to the shoreline and Bay Trail.
“Placing private residential units approximately 15 feet from the existing concrete Bay Trail esplanade remains a major concern,” Mitas said.

Bruce Beyaert, chair of the Trails for Richmond Action Committee, said the project does not include the required public access features in the shoreline area, and such plans should be presented to the DRB for review and approval.
“Private residential facilities are shown set back 100’ feet from the shoreline. However, no plans are shown for inviting public access features such as walkways, benches, tables, and landscaping in this Shoreline Overlay District area,” Beyaert said.
Beyaert also objected to the placement of visitor parking spaces in the Marina Way South right-of-way.

“This would take away space needed for Phase 2 of the Richmond Wellness Trial project. Ample visitor parking for the proposed residential units should be provided on site, with none located within the public right-of-way,” Beyaert said. “Inadequate visitor parking would result in site visitors occupying the current parking spaces needed for those visiting Lucretia Edwards Park and using the Bay Trail to visit the Rosie the Riveter Visitor Center and other locations.”
The staff report says the developer proposes 154 parking spaces, but the city disagrees with placing visitor spaces on Marina Way South because they conflict with the Wellness Trail project.
Because the project lies in the Shoreline Overlay District, the Planning Commission must review a conditional use permit and a tentative map. Under SB 330, Richmond is limited to no more than five public hearings on the project, including any city council appeal.
The Richmond Design Review meeting will be held in the Multi-Purpose Room in the Community Services Building basement at 440 Civic Center Plaza on Wednesday, December 10, 2025, at 6 p.m.
SUPPORT LOCAL JOURNALISM - SUBSCRIBE TODAY!
Grandview Independent needs your financial support to continue delivering the news that matters to our community. Quality journalism costs money, and we can't do it without readers like you.
SUBSCRIBE NOW and get:
• Unlimited access to all articles
• Newsletters with exclusive content
• The satisfaction of backing independent local news that serves your community
CLICK HERE TO SUBSCRIBE - Starting at just $10/month
FOLLOW US FOR BREAKING NEWS:
• Twitter: @GrandviewIndy
• Instagram: @GrandviewIndependent
• Facebook: @Grandview Independent
Copyright © 2025 Grandview Independent, all rights reserved.